Huracán Melissa: trayectoria y evolución
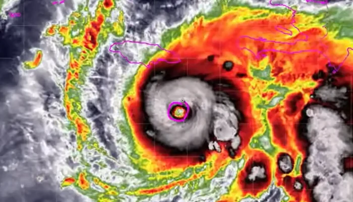
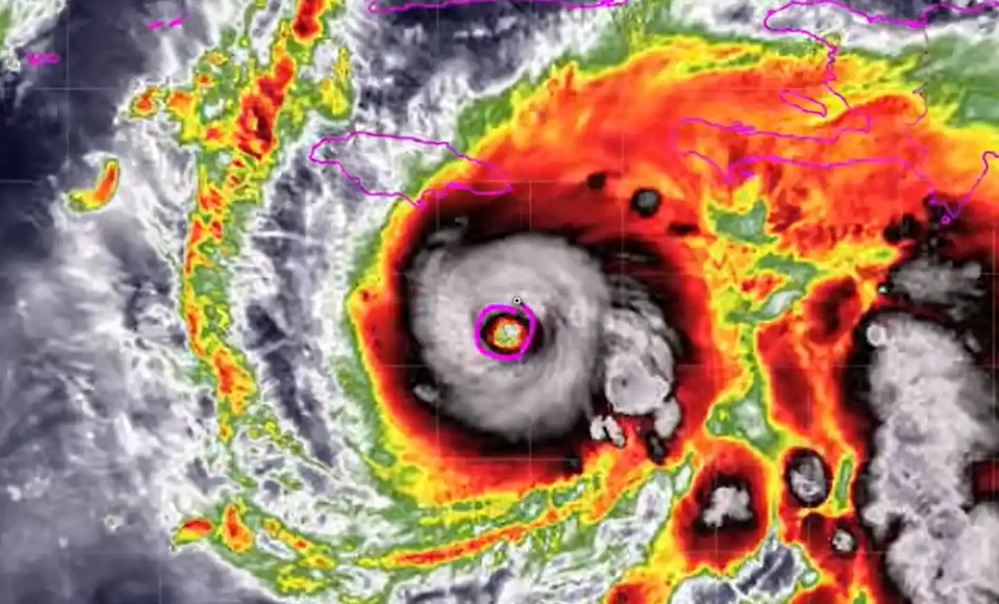
Miami, 26 DE OCTUBRe.-El huracán Melissa continúa su avance por el Caribe como un sistema de categoría 4 en la escala Saffir-Simpson, con vientos sostenidos de 140 mph (220 km/h). Según el Centro Nacional de Huracanes (NOAA), el ojo del ciclón fue localizado cerca de la latitud 16.3 norte y longitud 76.4 oeste, a unos 195 kilómetros al sureste de Kingston, Jamaica.
Melissa mantiene un movimiento lento hacia el oeste a 7 km/h, pero se espera que gire hacia el norte y noreste entre el lunes y el martes, acercándose peligrosamente a Jamaica antes de dirigirse hacia sudeste de Cuba y posteriormente al archipiélago de las Bahamas.
Los meteorólogos advierten que el huracán podría experimentar fluctuaciones en su intensidad, aunque se mantendrá como un huracán mayor al menos hasta mediados de la próxima semana.
Ubicación actual y dirección del huracán
Actualmente, los cazadores de huracanes de la NOAA se encuentran monitoreando directamente el sistema desde el aire. Los datos obtenidos revelan una presión central mínima de 952 mb, lo que confirma la fuerza destructiva del fenómeno.
Intensidad y velocidad de los vientos
Los vientos huracanados se extienden hasta 35 km desde el centro del sistema, mientras que los vientos de tormenta tropical alcanzan hasta 280 km. Esta amplia cobertura implica que gran parte del Caribe occidental sentirá los efectos del huracán, incluso en zonas alejadas del ojo.
Proyección de trayectoria hacia Jamaica y Cuba
El pronóstico indica que Jamaica recibirá el impacto directo del huracán entre la noche del lunes y la madrugada del martes. Luego, el sistema cruzaría por el sureste de Cuba durante el martes por la noche, antes de alcanzar las Bahamas a mitad de semana.
Alertas y advertencias emitidas por la NOAA

El Centro Nacional de Huracanes ha emitido una advertencia de huracán para toda Jamaica, mientras que el sur de Haití y el este de Cuba permanecen bajo vigilancia de huracán. Estas alertas significan que condiciones de huracán o tormenta tropical son inminentes o posibles en las próximas 36 horas.
Áreas bajo advertencia de huracán y tormenta tropical
- Jamaica: Bajo advertencia de huracán, se esperan vientos superiores a 130 mph.
- Haití (zona suroeste): En vigilancia de huracán, con posibles lluvias torrenciales.
- Cuba (provincias orientales): Granma, Santiago de Cuba, Guantánamo y Holguín bajo vigilancia.
Recomendaciones para la población

Las autoridades exhortan a los residentes en zonas costeras a completar sus preparativos, reforzar techos, asegurar embarcaciones y mantenerse informados por medios oficiales. También se recomienda disponer de agua potable, linternas, radio y alimentos no perecederos.
Posibles cambios en los avisos meteorológicos
El NHC advierte que los avisos podrían actualizarse en cualquier momento, especialmente si el huracán cambia su velocidad o dirección. Los habitantes de República Dominicana, Bahamas y Turcas y Caicos deben mantenerse atentos ante posibles ampliaciones de la zona de alerta.
Impacto esperado en Jamaica, Haití y Cuba

El ciclón podría provocar lluvias torrenciales de 15 a 30 pulgadas en Jamaica y el sur de Haití, con acumulaciones máximas de hasta 40 pulgadas en zonas montañosas. Este nivel de precipitación supone un riesgo extremo de inundaciones repentinas y deslizamientos de tierra.
Riesgo de inundaciones y deslizamientos de tierra
Las autoridades locales ya han identificado sectores vulnerables en Kingston, Portmore y St. Andrew, donde el terreno saturado podría ceder fácilmente. En Haití, comunidades rurales enfrentan peligro adicional por la erosión y deforestación.
Efectos del viento y oleaje en las zonas costeras
Los vientos huracanados podrían derribar árboles, postes eléctricos y estructuras frágiles. En las costas del sur de Jamaica se espera un aumento del nivel del mar de entre 9 y 13 pies, acompañado de olas destructivas.
Condiciones en el mar y peligro de resaca
Las autoridades marítimas han cerrado puertos en Kingston y Montego Bay. El mar Caribe presenta condiciones extremadamente peligrosas para embarcaciones pequeñas y medianas, con fuerte resaca en las playas.
Respuestas de emergencia y preparación

El gobierno jamaicano ha activado su Centro Nacional de Operaciones de Emergencia y ordenó la evacuación preventiva de zonas costeras. En Haití, la protección civil distribuye suministros y coordina refugios temporales, mientras Cuba prepara sus brigadas de respuesta.
Medidas del gobierno y organismos de socorro
Equipos de defensa civil y Cruz Roja trabajan para garantizar la seguridad de las comunidades más expuestas. En República Dominicana, aunque el impacto directo no se espera, el COE mantiene alerta amarilla por lluvias.
Recomendaciones de seguridad para los residentes
- Evitar cruzar ríos o zonas inundadas.
- Desconectar aparatos eléctricos en caso de cortes de energía.
- Seguir las instrucciones de los organismos oficiales.
Acciones preventivas ante posibles cortes eléctricos y daños

Las empresas energéticas han advertido sobre posibles interrupciones del servicio. Se recomienda tener a mano linternas, pilas y teléfonos cargados.
Vigilancia continua del huracán Melissa
El huracán representa una de las amenazas más serias de la temporada ciclónica 2025. Las autoridades instan a la población a mantenerse informada y a seguir las recomendaciones de los servicios meteorológicos locales. La situación puede cambiar rápidamente, por lo que la vigilancia constante será clave en las próximas horas.
Para actualizaciones en tiempo real, consulte el sitio oficial de la NOAA o los boletines del Centro Nacional de Huracanes.
Preguntas frecuentes
¿Dónde se encuentra actualmente el huracán Melissa?
El centro del huracán se ubica a unos 195 kilómetros al sureste de Kingston, Jamaica, desplazándose lentamente hacia el oeste a 7 km/h.
¿Cuándo impactará el huracán en Jamaica y Cuba?
Se espera que toque tierra en Jamaica entre la noche del lunes y la madrugada del martes, y en el sureste de Cuba durante el martes por la noche.
¿Qué categoría tiene el huracán Melissa?
Melissa es actualmente un huracán categoría 4, con vientos sostenidos de 140 mph, aunque podría intensificarse aún más antes de tocar tierra.
¿Qué medidas deben tomar los habitantes del Caribe?
Seguir las instrucciones oficiales, preparar suministros básicos, mantenerse en lugares seguros y evitar desplazamientos innecesarios hasta que las autoridades indiquen lo contrario.




